פטריות בישראל

גליל עליון, ליד אורנים
קרדיט: Rotem Meir Rozen

דיסקנית אדמדמה

Discina perlata / Gyromitra perlata

סוג: דיסקנית Discina
משפחה: Discinaceae

**השם העברי של הפטרייה הוא שם זמני

גוף הרבייה בתחילה דמוי כוסית או צלוחית, בעל רגלית קצרה, הולכת צרה ומקופלת כלפי מטה. צורתו של גוף הרבייה לעתים אינה סימטרית ושוליו נעשים גליים מאוד או מתקפלים כלפי מטה. קוטרו מגיע ל-5-10(15)ס"מ, פניו קטיפתיים, מגובששים, מעורקים-מקומטים, במיוחד במרכזו. צבע ההינומית חום-אדמדם, חום-ערמוני, כהה יותר בפטריות בשלות יותר. פני הצד החיצוני (התחתון) בהירים יותר, צבעם חום-ורדרד-בהיר, חום-צהוב-בהיר, צהוב-עכור. בשר הפטריה שביר, בז'-לבנבן, ריחו חריף במקצת.
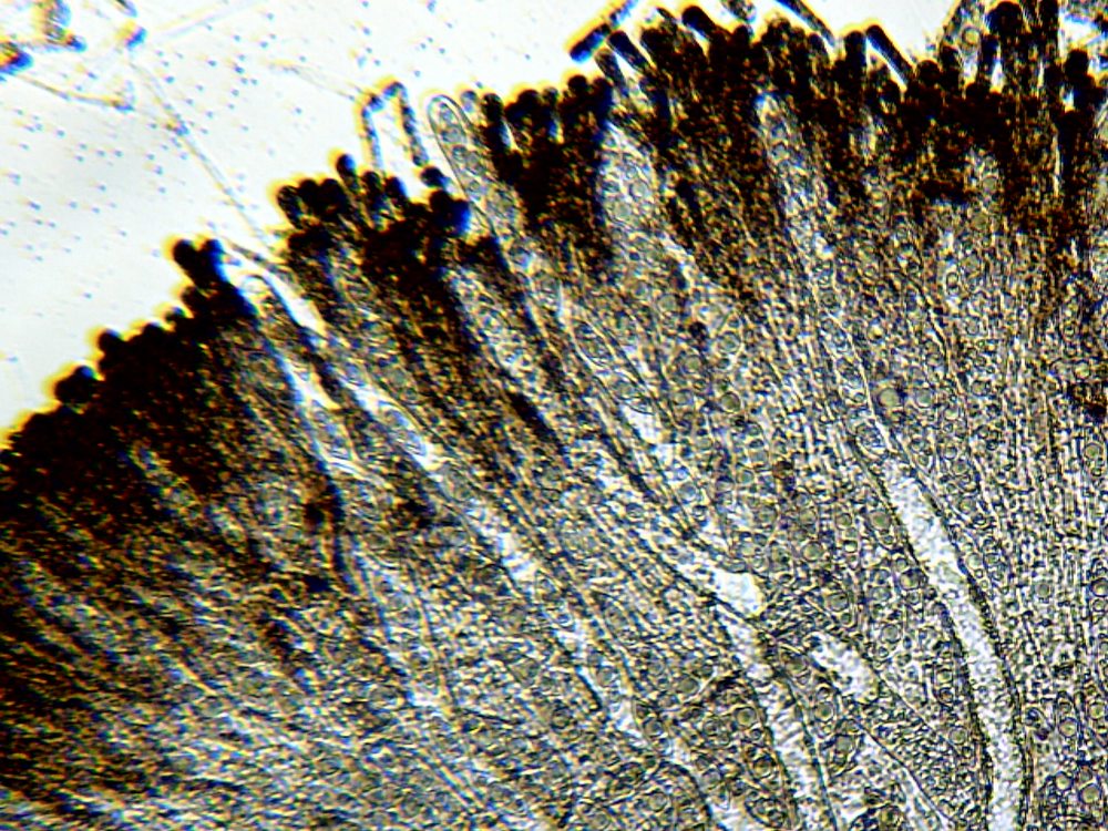
הנאדית מכילה 8 נבגים, גודלה 450-550*20-22 מיקרון, הנבגים אליפסואידיים או דמויי כישור וצרים בקצוות, חלקים, גדולים מאוד, עד 30-45*15-17 מיקרון, בעלי כמה טיפות שמן - אחת גדולה במרכז ו-2-3 מסביבה. אבקת הנבגים לבנה.
הפטריות לא שכיחות, גדלות בקבוצות, בחורשות, על הקרקע או על שרידי עץ רקובים. בארץ נמצאו באזור גליל עליון בפברואר-מרץ.

הפטרייה נאכלת אך מצריכה בישול מקדים במשך 10-15 דקות.

דומה מאוד במראה לצלוחנית מעורקת, אך שונה ממנה במבנה המיקרוסקופי. בנוסף, להבדיל מהצלוחנית המעורקת, השייכת למשפחת גמצוציתיים, צלוחנית אדמדמה שייכת למשפחת Discinaceae וקרובת משפחה עם הסוג Gyromitra or False morel מאותה המשפחה. בחלק מהמקורות שם הסוג שלה מופיע כ-Gyromitra perlata.

התאור חובר על-ידי אולגה גודורובה. 

תמונות הפטרייה באתר mykoweb.com
תמונות הפטרייה באתר biolib.cz

 


סוג פני ההינומיתההינומית דמויית קפלים ההינומית מפותלת ההינומית מגובששת
צורת גוף הרבייהגוף הרבייה זוחל, פרוס על פני המצע גוף הרבייה דמוי צלוחית או דיסקוס שטוח
סוג כיסוי הכובעפני הכובע בעלי עורקים או קמטים פני הכובע גבנוניים פני הכובע לבדיים
סוג שולי הכובעהשוליים יורדים כלפי מטה השוליים דמויי להב השוליים גליים השוליים עולים כלפי מעלה
צורת הרגלהולכת צרה כלפי מטה קצרה מאוד, לא מפותחת הרגל חסרה
מיקום הרגל ביחס לכובעמרכזית אינה מרכזית
סוג כיסוי הרגלחלקה קמחית
תנאי הגדילהבקרבת עצי עלים על האדמה על שרידי עץ רקובים בקרבת עצי מחט
ריחו של גוף הרבייהריח חריף ריח חלש, לא מזוהה
גודל גוף הרבייהגודל בינוני (5-15 ס"מ)
אכילותהפטרייה ראויה לאכילה בתנאי מסויים
צבע אבקת הנבגיםלבן, קרם או צהבהב
בשר הפטרייהשביר, עדין גמיש, צמיגי
צבע הכובע/ גוף הרבייה כולומחום-בהיר עד חום-כהה מאדום-בהיר עד אדום-כהה, אדום-חום אפרסק, תפוז, חלודי, חום-חלודי
צבע ההינומית (דפים, נקבים וכדומה)מחום-בהיר עד חום-כהה אפרסק, תפוז, חלודי, חום-חלודי מאדום-בהיר עד אדום-כהה, אדום-חום
צבע הרגללבן, קרם או צהבהב בז', אפרפר, אפור, אפור-חום
עודכן: 2025-01-18
גליל עליון, ליד אורנים
קרדיט: Rotem Meir Rozen
גליל עליון, ליד אורנים
קרדיט: Rotem Meir Rozen
גליל עליון, ליד אורנים
קרדיט: Rotem Meir Rozen
קרדיט: Rotem Meir Rozen
אזור כפר הורדים ליד אורנים, 09.02.18
קרדיט: Nitzan Ilsar
קרדיט: Olga Godorova
קרדיט: Olga Godorova
קרדיט: Olga Godorova
קרדיט: Olga Godorova
קרדיט: Olga Godorova
קרדיט: Olga Godorova
קרדיט: Olga Godorova